3578 204 St, Langley, BC, MLS® R3067299

$995,000
Est. Mortgage /mo

$995,000
Est. Mortgage /mo
Dan Marusin
Dan Marusin
Renanza Realty
778-918-5990
Award-Winning REALTOR® with 11+ Years of Experience Serving Greater Vancouver
Go See This Home Now
0 Stories
lot 7018 sqft
0 sqft
Show more info
Photos
Map
Street view
Schools
Crime
Commute
Shop & Eat

3578 204 St, Langley, BC | MLS® R3067299 Property Details

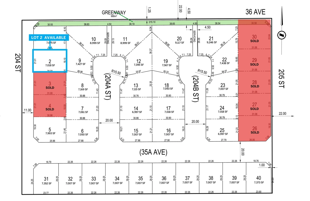
An exceptional opportunity to acquire fully serviced single-family lot in one of Langley’s most sought-after neighborhoods—Brookswood-Fernridge. Lots 1, 2 & 5 are currently available for sale on MLS (listed separately). Inquire on other lots in the subdivision. The lot is ideal for a range of custom home designs - designated for 2-storey homes (no in-ground basements) and is anticipated to be construction-ready by February/March 2026. Buyers may apply for a Building Permit upon a firm offer. Feel free to drive by to get a feel of the location.

General Info

Price $995,000
Total Bedrooms -
Total Bathrooms -
Half Bathrooms -
Floor Area Total (sqft) -
Lot Size 7018
Lot Size Depth Metres
Lot Size Frontage 68.8976
Basement Features BasementFeatures

Property Metrics

Year Built -
Age Of Building -
Building Type -
Property Type Land
Stories -
Building Features BuildingFeatures
Structures Land Only

Additional Details

MLS® # R3067299
Area Langley
Neighbourhood Brookswood Langley
City Langley
Gross Taxes $3,620.37
Ownership Type Freehold NonStrata
Maintenance Fee -
Fixtures Included -

Heating & Cooling

Fireplace -

Utilities

Utility Type Sanitary Sewer At Lot Line, Storm Sewer At Lot Line, Electricity At Lot Line, Natural Gas At Lot Line, Phone Nearby, Cable Available
Water (WaterSource) Public

Parking

Total Parking Spaces -

🔒 Join or Sign In • Real estate boards need a verified account to see Property data

Strata Restrictions -
Rental Restrictions -
Zoning R-1D
Rental Suites -
# of Kitchens -
Locker -
View -
View Description -
Units In Development -

Property History

🔒 Join or Sign In • Real estate boards need a verified account to see Property data

Status Date Price

Listed by: Homelife Advantage Realty (Central Valley) Ltd.

NOTE: This representation is based in whole or in part on data generated by the Chilliwack & District Real Estate Board, Fraser Valley Real Estate Board or Greater Vancouver REALTORS® which assumes no responsibility for its accuracy.

Neighborhood Info

Public Schools

Secondary
Brookswood Secondary School
1.09 km
Elementary
Noel Booth Elementary School
Average
0.43 km
5.3/10

Information includes BC Government Open License data; school details change often and are offered solely as general guidance.

Private Schools

Elementary
St. Catherines School
0.89 km
Secondary
Whytecliff Agile Learning Centre (Langley)
4.37 km

Closest Transit

Translink
Southbound 204 St @ 36 Ave
0.09 km
Skytrain
Skytrain @ Langley City Centre Station ( Under Construction till 2029)
4.37 km

Noise/ Power Lines

Road/Hwy Noise
Possible
Railway/Sky train Noise
Unlikely
Airport/Port Noise
Unlikely
Close to major Power Lines
Unlikely

Other

Agricultural Land Reserve (ALR)
Unlikely
Flood Area
Unlikely
Close to Cemeteries
Unlikely

Welcome to 3578 204 Street, a stunning property in Langley, BC!

As we step into this beautiful home with MLS® R3067299, I'd like to take you on a tour of the wonderful community that surrounds it.

Education

First, let's talk about the schools in the area. Noel Booth Elementary School, located just 0.43 km from this property with MLS® R3067299, has a rating of 5.3/10. This school is a great option for families, and I've had the pleasure of working with many families who have chosen this school for their children. Just down the road, you'll also find Brookswood Secondary School, with a rating of No Rating, and St. Catherines School, with an impressive rating of 9.4/10. And for families looking for an independent school option, Whytecliff Agile Learning Centre (Langley) is just a 4.37 km drive away.

Safety

Now, let's talk about safety. The crime data from Statistics Canada's 2020 report shows that this neighbourhood has an Average crime rate compared to other Canadian cities. With 10,154 volation disturbances in 2020, this indicates a relatively typical urban environment. However, I'm happy to report that the year-by-year change in the total crime rate is -11.06%, indicating a decrease in crime over time.

Demographics

As we explore the demographics of this community, we see that 12.2% of the population has a university certificate or degree, which is Below Average compared to other BC neighbourhoods. However, 19.8% of the population has no certificate or degree, which is Average compared to the average in BC.

Transit

Getting around is a breeze in this community! The closest bus station is Southbound 204 St @ 36 Ave, just 0.09 km away from this property with MLS® R3067299. And with a low unemployment rate of 2.9%, it's clear that this community is thriving.

Lifestyle Amenities

Now, let's talk about the lifestyle amenities that make this community so special. With a population density per square kilometre of 390.9, this area offers a comfortable and relaxed atmosphere. Plus, with an average family size of 2.7, this community is perfect for families who want to put down roots.

Real Estate Context

As we explore the real estate context of this community, we see that the average value of dwellings is $835,116, which is High compared to other areas in British Columbia. And with an average owner payment of $1,165, this is an attractive option for those looking to invest in real estate.

Key Statistics

  • Average age of population: 48.6 (High compared to other BC cities)
  • Median household income: $70,699 (Average compared to other BC neighbourhoods)
  • Median personal income: $33,690 (Average compared to other BC neighbourhoods)
  • Unemployment rate: 2.9% (Low compared to other province neighbourhoods)
  • Population change between 2011 and 2016: 0.7% (Average compared to average growth rate of this region)

Transportation

When it comes to transportation, this community offers a range of options. With 93.4% of the population using cars, this is an Above Average percentage. However, with 4% of the population using public transport and 1.7% using bicycles, this community also offers a range of eco-friendly options.

In conclusion, 3578 204 Street, Langley, BC is a wonderful community that offers a range of amenities and lifestyle options. With its Average crime rate, Below Average unemployment rate, and High average value of dwellings, this community is an attractive option for those looking to put down roots. As your trusted realtor, I'm happy to answer any questions you may have about this property with MLS® R3067299.

Local Info

Calculate your monthly mortgage payments

/month
Principal & Interest
Property Taxes $202
Maintenance fee 0
All figures are informational estimates by Estateblock.com; actual mortgage payments and insurance rates vary by many factors.

Cash Flow Analysis

/month
Mortgage Payment $3201
Monthly Payment $3802
Break Even Down Payment 0%
All figures are informational estimates by Estateblock.com; actual mortgage payments and insurance rates vary by many factors.

Price Evaluation Chart

Filter
Beds Home Types Square Feet Lot Size Year Built
This Home $995,000
Langley $1,173,730
Brookswood Langley $1,214,633
Data is based on list prices of similar active listings. This representation is based in whole or in part on data generated by the Chilliwack & District Real Estate Board, Fraser Valley Real Estate Board or Real Estate Board of Greater Vancouver which assumes no responsibility for its accuracy

Listing Price Comparision

This house $1,400,000
Surrey

No comparables

Fleetwood Tynehead $1,399,000 -6.38%
Data is based on list prices of similar active listings. This representation is based in whole or in part on data generated by the Chilliwack & District Real Estate Board, Fraser Valley Real Estate Board or Real Estate Board of Greater Vancouver which assumes no responsibility for its accuracy
Dan Marusin
Dan Marusin
Renanza Realty
778-918-5990
Award-Winning REALTOR® with 11+ Years of Experience Serving Greater Vancouver

Earn Cashback

Potential Cashback for this listing if you buy with us

$0
out of $6,746
0 of 17 missions
(0.0% out of 100%)

Login to track your cashback progress

Sign up on Estateblock.com

$337 / 5%

Use the “Hot Deal” module on our website

$135 / 2%

Sign up for our Newsletter

$67 / 1%

Create a saved search on Estateblock.com

$135 / 2%

Book a Property Showing with us

$135 / 2%

Get a mortgage through our recommended broker

$472 / 7%

Use our recommended insurance provider

$135 / 2%

Use our recommended notary for closing

$135 / 2%

Sign an Exclusive Buyer’s Agency Agreement with us

$472 / 7%

Share Estateblock.com on social media with a short intro

$202 / 3%

Refer a friend who successfully buys or sells with us

$1,687 / 25%

Sell your home with us2

$1,687 / 25%

Leave a Public Review in Google

$472 / 7%

Follow us on Insta or FB and tag us in a post

$202 / 3%

Create a short video testimonial after closing

$202 / 3%

Leave a Facebook review on our page

$135 / 2%

Talk with one of our mortgage brokers

$135 / 2%

Similar nearby listings

16706 57a Avenue, Surrey, BC
$1,249,900

16706 57a Avenue, Surrey, BC

0 sqft
MLS® R3037197 , Century 21 Coastal Realty Ltd. & Century 21 Coastal Realty Ltd.
19994 45a Avenue, Langley, BC
NEW
$999,900

19994 45a Avenue, Langley, BC

0 sqft
MLS® R3069578 , Momentum Realty Inc. & Momentum Realty Inc.
Lot D 44 Avenue, Langley, BC
$1,099,000

Lot D 44 Avenue, Langley, BC

0 sqft
MLS® R3067244 , Stonehaus Realty Corp. & Stonehaus Realty Corp.
Lot C 44 Avenue, Langley, BC
$1,049,000

Lot C 44 Avenue, Langley, BC

0 sqft
MLS® R2996018 , Stonehaus Realty Corp. & Stonehaus Realty Corp.
$1,499,000

20069 27 Avenue, Langley, BC

0 sqft
MLS® R3046727 , Century 21 Coastal Realty Ltd. & Century 21 Coastal Realty Ltd.
LT.1 21643 50 Avenue, Langley, BC
$1,225,000

LT.1 21643 50 Avenue, Langley, BC

0 sqft
MLS® R3019619 , Royal LePage Global Force Realty
LT.2 21643 50 Avenue, Langley, BC
$1,225,000

LT.2 21643 50 Avenue, Langley, BC

0 sqft
MLS® R3020238 , Royal LePage Global Force Realty
17884 57a Avenue, Surrey, BC
$1,249,000

17884 57a Avenue, Surrey, BC

0 sqft
MLS® R3066643 , Macdonald Realty (Surrey/152)
Lot A 207a Street, Langley, BC
$1,200,000

Lot A 207a Street, Langley, BC

0 sqft
MLS® R3061407 , Stonehaus Realty Corp. & Stonehaus Realty Corp.

Similar Sold listings

🔒 Join or Sign In • Real estate boards need a verified account to see photos & sold data

21026 45a Avenue, Langley, BC
Sold
$1,199,900

21026 45a Avenue, Langley, BC

0 sqft
MLS® R2962637 , Homelife Benchmark Realty (Langley) Corp.
20888 48 Avenue, Langley, BC
Sold
$1,299,999

20888 48 Avenue, Langley, BC

0 sqft
MLS® R2851194 , Real Broker & Stonehaus Realty Corp.
20837 45a Avenue, Langley, BC
Sold
$1,095,000

20837 45a Avenue, Langley, BC

0 sqft
MLS® R2811374 , Team 3000 Realty Ltd.
20379 27 Avenue, Langley, BC
Sold
$1,190,000

20379 27 Avenue, Langley, BC

0 sqft
MLS® R2830181 , Royal LePage Fairstone Realty.
19687 31b Avenue, Langley, BC
Sold
$1,325,000

19687 31b Avenue, Langley, BC

0 sqft
MLS® R2783207 , Homelife Benchmark Realty (Langley) Corp.
LT.3 16710 57a Avenue, Surrey, BC
Sold
$1,479,900

LT.3 16710 57a Avenue, Surrey, BC

0 sqft
MLS® R2840960 , Century 21 Coastal Realty Ltd. & Century 21 Coastal Realty Ltd.
20884 48 Avenue, Langley, BC
Sold
$1,299,999

20884 48 Avenue, Langley, BC

0 sqft
MLS® R2845083 , Real Broker & Stonehaus Realty Corp.
2707 201 Street, Langley, BC
Sold
$1,425,000

2707 201 Street, Langley, BC

0 sqft
MLS® R2785395 , Royal LePage Global Force Realty
19679 31b Avenue, Langley, BC
Sold
$1,325,000

19679 31b Avenue, Langley, BC

0 sqft
MLS® R2783214 , Homelife Benchmark Realty (Langley) Corp.
20385 27 Avenue, Langley, BC
Sold
$1,190,000

20385 27 Avenue, Langley, BC

0 sqft
MLS® R2830265 , Royal LePage Fairstone Realty.

Book a tour

Please complete the form. We will the arrangements and give you a call, typically within 1-2 hours. Or Call Us 778-918-5990
Thank you Your message has been sent
Go See This Home Now