3548 204 St, Langley, BC, MLS® R3067304

$995,000
Est. Mortgage /mo

$995,000
Est. Mortgage /mo
Dan Marusin
Dan Marusin
Renanza Realty
778-918-5990
Award-Winning REALTOR® with 11+ Years of Experience Serving Greater Vancouver
Go See This Home Now
0 Stories
lot 7993 sqft
0 sqft
Show more info
Photos
Map
Street view
Schools
Crime
Commute
Shop & Eat

3548 204 St, Langley, BC | MLS® R3067304 Property Details

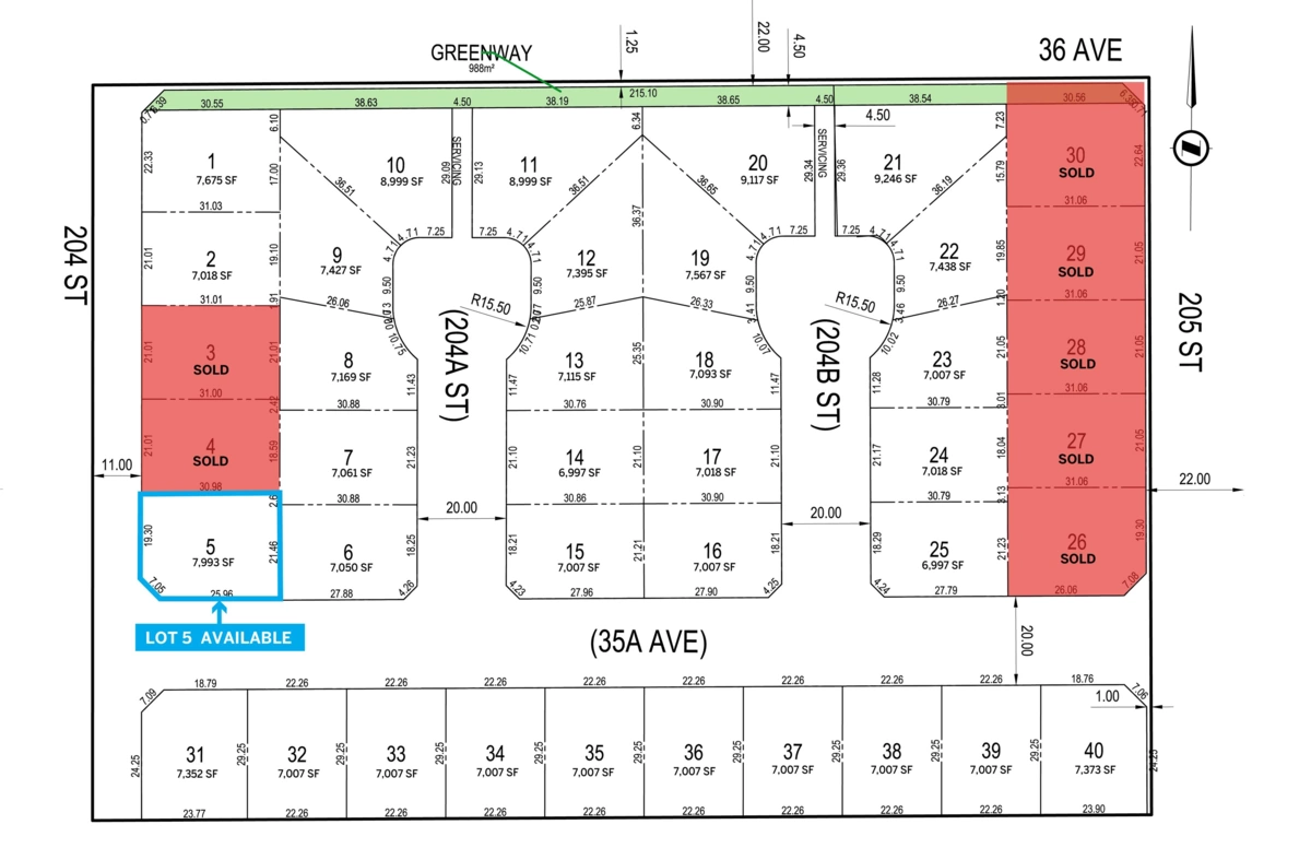
An exceptional opportunity to acquire fully serviced single-family lots in one of Langley’s most sought-after neighborhoods—Brookswood-Fernridge. Lots 1, 2 & 5 are currently available for sale on MLS and inquire within on other lots in the subdivision. Average size of each lots is approx. 7,400 sq.ft., ideal for a range of custom home designs. ll lots are designated for 2-storey homes (no in-ground basements) and are anticipated to be construction-ready by February/March 2026. Buyers may apply for a Building Permit upon a firm offer. Feel free to drive by to get a feel of the location.

General Info

Price $995,000
Total Bedrooms -
Total Bathrooms -
Half Bathrooms -
Floor Area Total (sqft) -
Lot Size 7993
Lot Size Depth Metres
Lot Size Frontage 73.1627
Basement Features BasementFeatures

Property Metrics

Year Built -
Age Of Building -
Building Type -
Property Type Land
Stories -
Building Features BuildingFeatures
Structures Land Only

Additional Details

MLS® # R3067304
Area Langley
Neighbourhood Brookswood Langley
City Langley
Gross Taxes $3,824.67
Ownership Type Freehold NonStrata
Maintenance Fee -
Fixtures Included -

Heating & Cooling

Fireplace -

Utilities

Utility Type Sanitary Sewer At Lot Line, Storm Sewer At Lot Line, Electricity At Lot Line, Natural Gas At Lot Line, Phone Nearby, Cable Available
Water (WaterSource) Public

Parking

Total Parking Spaces -

🔒 Join or Sign In • Real estate boards need a verified account to see Property data

Strata Restrictions -
Rental Restrictions -
Zoning R-1D
Rental Suites -
# of Kitchens -
Locker -
View -
View Description -
Units In Development -

Property History

🔒 Join or Sign In • Real estate boards need a verified account to see Property data

Status Date Price

Listed by: Homelife Advantage Realty (Central Valley) Ltd.

NOTE: This representation is based in whole or in part on data generated by the Chilliwack & District Real Estate Board, Fraser Valley Real Estate Board or Greater Vancouver REALTORS® which assumes no responsibility for its accuracy.

Neighborhood Info

Public Schools

Secondary
Brookswood Secondary School
1.11 km
Elementary
Noel Booth Elementary School
Average
0.4 km
5.3/10

Information includes BC Government Open License data; school details change often and are offered solely as general guidance.

Private Schools

Elementary
St. Catherines School
0.83 km
Elementary, Secondary
Credo Christian Schools
4.43 km

Closest Transit

Translink
Southbound 204 St @ 36 Ave
0.16 km
Skytrain
Skytrain @ Langley City Centre Station ( Under Construction till 2029)
4.44 km

Noise/ Power Lines

Road/Hwy Noise
Possible
Railway/Sky train Noise
Unlikely
Airport/Port Noise
Unlikely
Close to major Power Lines
Unlikely

Other

Agricultural Land Reserve (ALR)
Unlikely
Flood Area
Unlikely
Close to Cemeteries
Unlikely

Guided Neighborhood Tour: 3548 204 Street, Langley, BC

As we walk through the charming neighborhood of 3548 204 Street in Langley, BC, I'm excited to share with you the unique features that make this area so special. Our starting point is the highly-rated Noel Booth Elementary School, just a short 0.4 km from our featured property with listing MLS® R3067304. With a rating of 5.3/10, this school is a top choice for families in the area.

Just down the road, we have Brookswood Secondary School, located 1.11 km from our property. While its rating is not available, this school is a great option for students in the area. For families who prefer independent schools, St. Catherines School is the closest option, with a stellar rating of 9.4/10 and located just 0.83 km from our property.

Now, let's talk about the safety of the neighborhood. According to the latest crime data from Statistics Canada (2020), this area has an average crime rate compared to other Canadian cities, with 7,580.38 incidents per 100,000 population. While property crimes are above average, the overall crime rate is relatively low, giving residents peace of mind.

As we explore the neighborhood, you'll notice that the area is well-connected to public transportation. The Southbound 204 St @ 36 Ave bus station is just 0.16 km away from our featured property with listing MLS® R3067304, making it easy to get around without a car.

Now, let's take a look at the demographics of the area. The neighborhood has a relatively low percentage of residents with a university certificate or degree (12.2%), which is below average compared to other BC neighborhoods. However, the median household income is $70,699, which is average compared to the British Columbia average. The median personal income is also average at $33,690.

As we continue our tour, you'll notice that the area has a mix of homeowners and renters. However, a low percentage of households have a mortgage (42.5%), which is below average. The unemployment rate is also low at 2.9%, making it an attractive area for job seekers.

In terms of population growth, the area has experienced an average growth rate of 0.7% between 2011 and 2016, which is average compared to the region. The population density per square kilometer is also average at 390.9 people per sq.km.

As we wrap up our tour, I hope you've gotten a sense of the unique features that make 3548 204 Street in Langley, BC a desirable place to live. From its highly-rated schools to its relatively low crime rate, this area has something for everyone. And with its average median household income and low unemployment rate, it's an attractive option for families and individuals alike.

Property Details:

  • MLS® R3067304
  • Address: 3548 204 Street, Langley, BC
  • Average value of dwellings in the area: $835,116 (high compared to other BC areas)
  • Average owner payments: average, with owners spending $1,165 per month
  • Average rent: high, with tenants paying $1,481 per month
  • 15.9% of population are renters, which is below average compared to other BC cities and areas.

I hope you've enjoyed this guided tour of the neighborhood! As a trusted realtor with over a decade of experience in British Columbia real estate, I'm confident that 3548 204 Street in Langley, BC is a great place to call home.

Local Info

Calculate your monthly mortgage payments

/month
Principal & Interest
Property Taxes $202
Maintenance fee 0
All figures are informational estimates by Estateblock.com; actual mortgage payments and insurance rates vary by many factors.

Cash Flow Analysis

/month
Mortgage Payment $3201
Monthly Payment $3802
Break Even Down Payment 0%
All figures are informational estimates by Estateblock.com; actual mortgage payments and insurance rates vary by many factors.

Price Evaluation Chart

Filter
Beds Home Types Square Feet Lot Size Year Built
This Home $995,000
Langley $1,173,730
Brookswood Langley $1,214,633
Data is based on list prices of similar active listings. This representation is based in whole or in part on data generated by the Chilliwack & District Real Estate Board, Fraser Valley Real Estate Board or Real Estate Board of Greater Vancouver which assumes no responsibility for its accuracy

Listing Price Comparision

This house $1,400,000
Surrey

No comparables

Fleetwood Tynehead $1,399,000 -6.38%
Data is based on list prices of similar active listings. This representation is based in whole or in part on data generated by the Chilliwack & District Real Estate Board, Fraser Valley Real Estate Board or Real Estate Board of Greater Vancouver which assumes no responsibility for its accuracy
Dan Marusin
Dan Marusin
Renanza Realty
778-918-5990
Award-Winning REALTOR® with 11+ Years of Experience Serving Greater Vancouver

Earn Cashback

Potential Cashback for this listing if you buy with us

$0
out of $6,746
0 of 17 missions
(0.0% out of 100%)

Login to track your cashback progress

Sign up on Estateblock.com

$337 / 5%

Use the “Hot Deal” module on our website

$135 / 2%

Sign up for our Newsletter

$67 / 1%

Create a saved search on Estateblock.com

$135 / 2%

Book a Property Showing with us

$135 / 2%

Get a mortgage through our recommended broker

$472 / 7%

Use our recommended insurance provider

$135 / 2%

Use our recommended notary for closing

$135 / 2%

Sign an Exclusive Buyer’s Agency Agreement with us

$472 / 7%

Share Estateblock.com on social media with a short intro

$202 / 3%

Refer a friend who successfully buys or sells with us

$1,687 / 25%

Sell your home with us2

$1,687 / 25%

Leave a Public Review in Google

$472 / 7%

Follow us on Insta or FB and tag us in a post

$202 / 3%

Create a short video testimonial after closing

$202 / 3%

Leave a Facebook review on our page

$135 / 2%

Talk with one of our mortgage brokers

$135 / 2%

Similar nearby listings

16719 57 Avenue, Surrey, BC
$1,199,900

16719 57 Avenue, Surrey, BC

0 sqft
MLS® R3037214 , Century 21 Coastal Realty Ltd. & Century 21 Coastal Realty Ltd.
20053 27 Avenue, Langley, BC
$1,149,900

20053 27 Avenue, Langley, BC

0 sqft
MLS® R3042356 , Royal LePage Global Force Realty
16568 28 A Avenue, Surrey, BC
$1,649,900

16568 28 A Avenue, Surrey, BC

0 sqft
MLS® R3015125 , Angell, Hasman & Associates Realty Ltd. & Angell, Hasman & Associates Realty Ltd.
17884 57a Avenue, Surrey, BC
$1,249,000

17884 57a Avenue, Surrey, BC

0 sqft
MLS® R3066643 , Macdonald Realty (Surrey/152)
18922 62 Avenue, Surrey, BC
NEW
$1,190,000

18922 62 Avenue, Surrey, BC

0 sqft
MLS® R3068119 , RE/MAX Treeland Realty
3588 204 Street, Langley, BC
$995,000

3588 204 Street, Langley, BC

0 sqft
MLS® R3067294 , Homelife Advantage Realty Ltd.
20270 53a Avenue, Langley, BC
$1,530,000

20270 53a Avenue, Langley, BC

0 sqft
MLS® R3028680 , Magsen Realty Inc.

Similar Sold listings

🔒 Join or Sign In • Real estate boards need a verified account to see photos & sold data

Sold
$1,100,000

17156 Friesian Drive, Surrey, BC

0 sqft
MLS® R2950026 , RE/MAX City Realty
17156 Friesian Drive, Surrey, BC
Sold
$1,149,000

17156 Friesian Drive, Surrey, BC

0 sqft
MLS® R2981596 , RE/MAX City Realty
16722 57a Avenue, Surrey, BC
Sold
$1,529,900

16722 57a Avenue, Surrey, BC

0 sqft
MLS® R2912717 , Century 21 Coastal Realty Ltd. & Century 21 Coastal Realty Ltd.
16727 57 Avenue, Surrey, BC
Sold
$1,249,900

16727 57 Avenue, Surrey, BC

0 sqft
MLS® R3047761 , Century 21 Coastal Realty Ltd. & Century 21 Coastal Realty Ltd.

Book a tour

Please complete the form. We will the arrangements and give you a call, typically within 1-2 hours. Or Call Us 778-918-5990
Thank you Your message has been sent
Go See This Home Now